- BÜRGERSERVICES
- STADT
- FREIZEIT
- Kunst & Kultur
- Veranstaltungen & Feste
- Veranstaltungskalender
- Adventssuchspiel
- Altenhainer Kerb
- Bad Sodener Weintage
- Bluesabend
- Irischer Abend
- Kinderprogramm
- Mendelssohn Tage der Musik
- Musik am Quellenpark
- Neuenhainer Herbstmarkt
- Neuenhainer Kerb
- Sommerlounge Konzerte
- Sommernachtsfest
- Sonntagskonzerte
- Weihnachtsmarkt
- Bewerbungsmöglichkeit für Bands
- Bewerbung als Standbetreiber
- Bad Soden am Taunus erleben
- Vereine & Ehrenamt
- WIRTSCHAFT
- ONLINE-SERVICE
4. Änderung des Bebauungsplans Nr. 1 „Südlich der Hasselstraße“ der Stadt Bad Soden am Taunus, Stadtteil Bad Soden
Änderung des Bebauungsplanentwurfs, erneute Durchführung der Öffentlichkeitsbeteiligung nach § 4a Abs. 3 Baugesetzbuch (BauGB) i.V.m. § 3 Abs. 2 BauGB.
Die Stadtverordnetenversammlung der Stadt Bad Soden am Taunus hat in ihrer Sitzung am 10.12.2025 für die 4. Änderung des Bebauungsplans Nr. 1 „Südlich der Hasselstraße“, Stadtteil Bad Soden,
- den geänderten Bebauungsplanentwurf mit textlichen Festsetzungen und Begründung,
- die Durchführung der erneuten Öffentlichkeits- und Behördenbeteiligung nach § 4a Abs. 3 BauGB i.V.m. § 3 Abs. 2 sowie § 4 Abs. 2 BauGB
beschlossen.
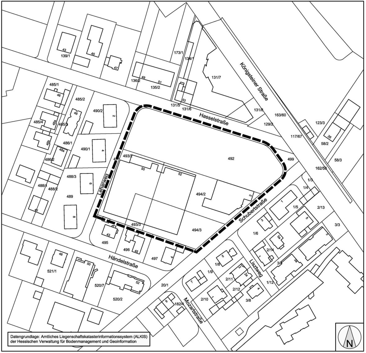
Geltungsbereich (ohne Maßstab)

Der räumliche Geltungsbereich der 4. Änderung des Bebauungsplans Nr. 1 „Südlich der Hasselstraße“ besitzt eine Größe von 10.772 m² (~ 1,07 ha) und liegt südlich der Kernstadt von Bad Soden am Taunus. Der räumliche Geltungsbereich liegt in der Flur 10 der Gemarkung Bad Soden am Taunus und umfasst die folgenden Flurstücke: 492, 493/2, 493/3, 494/2 und 494/3.
Das Plangebiet wird im Bestand durch einen Lebensmittelvollsortimenter mit Bäckerei sowie einen Autohändler genutzt. Der nördliche Teil des Plangebietes ist als Parkplatz der Supermarktkunden ausgewiesen. Im Norden grenzt das Plangebiet an die Hasselstraße sowie die Königsteiner Straße, im Osten an die Schubertstraße und im Westen an den Leharweg. Südlich des Plangebietes befindet sich Wohnbebauung.
Innerhalb des Geltungsbereiches des bestehenden Bebauungsplans Nr. 1.1 „Südlich der Hasselstraße“ kommt es aufgrund des geplanten Abrisses des ansässigen Autohauses zu baulichen Veränderungen. Die durch den Abriss freiwerdende Fläche soll für die Erweiterung des bestehenden Lebensmittelvollsortimenters mit Bäckerei genutzt werden. Geplant ist hierbei eine Ergänzung des bestehenden Marktes durch einen separaten Getränkemarkt. Für die Realisierung des Vorhabens ist eine Änderung des bestehenden Bebauungsplans erforderlich, um die planungsrechtlichen Voraussetzungen zu schaffen.
Die Aufstellung der 4. Änderung des Bebauungsplans Nr. 1 „Südlich der Hasselstraße“ erfolgt im beschleunigten Verfahren nach § 13a BauGB – Bebauungspläne der Innenentwicklung. Die Anwendungsvoraussetzungen für das beschleunigte Verfahren nach § 13a BauGB liegen vor, da der Bebauungsplan der Innenentwicklung dient und die maximale Grundfläche innerhalb des Plangebietes aufgrund der Größe des Geltungsbereiches von 10.772 m² weniger als 20.000 m² beträgt.
Im beschleunigten Verfahren wird von der Umweltprüfung nach § 2 Abs. 4 BauGB, von dem Umweltbericht nach § 2a BauGB, von der Angabe nach § 3 Abs. 2 Satz 1 BauGB, welche Arten umweltbezogener Informationen verfügbar sind, sowie von der zusammenfassenden Erklärung nach § 10a Absatz 1 BauGB abgesehen. § 4c BauGB ist nicht anzuwenden.
Der Entwurf des Bebauungsplans war von der Stadtverordnetenversammlung mit Beschluss vom 18.12.2024 gebilligt worden. Zugleich war die Durchführung der Beteiligungsverfahren gemäß § 3 Abs. 2 und § 4 Abs. 2 BauGB beschlossen worden. Die Öffentlichkeits- und Behördenbeteiligung gemäß § 3 Abs. 2 und § 4 Abs. 2 BauGB fanden in der Zeit vom 31.01.2024 bis einschließlich 03.03.2025 statt.
Auf Anregung des Vorhabensträgers wurden nach den durchgeführten Beteiligungsverfahren Änderungen im Bebauungsplanentwurf vorgenommen. Die Planänderungen führen dazu, dass eine erneute Öffentlichkeits- und Behördenbeteiligung gemäß § 4a Abs. 3 BauGB i.V.m. § 3 Abs. 2 sowie § 4 Abs. 2 BauGB notwendig ist.
Öffentlichkeitsbeteiligung:
Der geänderte Entwurf der 4. Änderung des Bebauungsplans Nr. 1 „Südlich der Hasselstraße“ wird mit Begründung, verkehrlicher Stellungnahme, Schallimmissionsprognose und Auswirkungsanalyse in der Zeit
vom 06.02.2026 bis einschließlich 09.03.2026
wie folgt veröffentlicht;
- Auf der Internetseite der Stadt Bad Soden am Taunus www.bad-soden.de unter „Stadt“ à „Stadtplanung&Verkehr“ à „Stadtplanung“ à „Bebauungspläne“ à „Bebauungspläne im Verfahren“(https://www.bad-soden.de/stadt/stadtplanung-verkehr/stadtplanung/bebauungsplaene/bebauungsplaene-im-verfahren/)
- Auf der Internetseite der Planergruppe ROB www.planergruppe-rob.de unter „Beteiligungsverfahren“ (http://www.planergruppe-rob.de/beteiligungsverfahren/)
Auf die vorgenannte Internetseite der Stadt Bad Soden am Taunus wird auch im Zentralen Internetportal für Bauleitplanungen in Hessen (https://bauleitplanung.hessen.de) verwiesen.
Zusätzlich zur Veröffentlichung im Internet werden die genannten Unterlagen nach § 4a Abs. 3 BauGB i.V.m. § 3 Abs. 2 Satz 2 BauGB in der Abteilung Stadtentwicklung und Mobilität der Stadt Bad Soden am Taunus, Verwaltungsgebäude Neuenhain, Hauptstraße 45, 2. Stock, während der Dienststunden (Montag bis Donnerstag von 8:30 Uhr bis 12:00 Uhr und 14:00 Uhr bis 16:00 Uhr und Freitag von 8:30 Uhr bis 12:00 Uhr) zu jedermanns Einsichtnahme öffentlich ausgelegt. Zur Erörterung des Bebauungsplans stehen die Mitarbeiterinnen und Mitarbeiter der Abteilung 61 „Stadtentwicklung und Mobilität“ unter der Rufnummer 06196 208-331 und per E-Mail unter Abt.61@stadt-bad-soden.de zur Verfügung.
Die wesentlichen Änderungen zum vergangenen Bebauungsplanentwurf sind im Textteil und der Begründung zur besseren Lesbarkeit gelb markiert.
Es wird darauf hingewiesen, dass Stellungnahmen während der Dauer der Veröffentlichungsfrist abgegeben werden können. Stellungnahmen sollen elektronisch an teschner@planergruppe-rob.de übermittelt werden. Bei Bedarf können Stellungnahmen aber auch auf anderem Weg abgegeben werden.
Über die abgegebenen Stellungnahmen entscheidet die Stadtverordnetenversammlung der Stadt Bad Soden am Taunus in öffentlicher Sitzung. Da das Ergebnis der Behandlung der Stellungnahmen mitgeteilt wird, ist die Angabe der Emailadresse oder/und der Anschrift des Verfassers zweckmäßig.
Es wird darauf hingewiesen, dass nicht fristgerecht abgegebene Stellungnahmen bei der Beschlussfassung über den Bebauungsplan unberücksichtigt bleiben können.
Datenschutzhinweise in Bezug auf die Abgabe von Stellungnahmen:
Es wird darauf hingewiesen, dass Personen, welche eine Stellungnahme einreichen, mit der Abgabe der Stellungnahme der Verarbeitung aller von ihnen angegebenen personenbezogenen Daten - dazu zählen insbesondere Vor- und Nachname, Anschrift, Telefonnummer, Mobilfunknummer, E-Mail-Adresse - zustimmen. Nach Artikel 6 Abs. 1c und 1e der Datenschutz-Grundverordnung (DSGVO) werden die Daten im Rahmen des Bauleitplanverfahrens von der Stadt und dem von ihr mit der Auswertung der Stellungnahmen beauftragten Büro Planergruppe ROB GmbH, Am Kronberger Hang 3, 65824 Schwalbach am Taunus für die gesetzlich bestimmten Dokumentationspflichten und für die Informationspflicht gegenüber den betroffenen Personen genutzt. Die personenbezogenen Daten werden gelöscht, sobald sie für das Verfahren nicht mehr benötigt werden und keine gesetzlichen Aufbewahrungsfristen bestehen. Nach Art. 15, 16, 17 und 18 DSGVO stehen der betreffenden Person folgende Rechte zu: Auskunftsrecht, Recht auf Berichtigung, Vervollständigung, Löschung, Einschränkung der Verarbeitung, datenschutzrechtliche Beschwerde bei der zuständigen Datenschutzaufsichtsbehörde einlegen: Zuständig ist der Hessische Beauftragte für Datenschutz und Informationsfreiheit, Gustav-Stresemann-Ring 1, Postfach 3163, 65021 Wiesbaden, Tel. 0611/1408-0, Mail: poststelle@datenschutz.hessen.de.
Bad Soden am Taunus, den 26.01.2026
Der Magistrat der Stadt Bad Soden am Taunus
Dr. Frank Blasch
Bürgermeister
Bereitgestellt am 28.01.2026