- BÜRGERSERVICES
- STADT
- FREIZEIT
- Kunst & Kultur
- Veranstaltungen & Feste
- Veranstaltungskalender
- Adventssuchspiel
- Altenhainer Kerb
- Bad Sodener Weintage
- Bluesabend
- Irischer Abend
- Kinderprogramm
- Mendelssohn Tage der Musik
- Musik am Quellenpark
- Neuenhainer Herbstmarkt
- Neuenhainer Kerb
- Sommerlounge Konzerte
- Sommernachtsfest
- Sonntagskonzerte
- Weihnachtsmarkt
- Bewerbungsmöglichkeit für Bands
- Bewerbung als Standbetreiber
- Bad Soden am Taunus erleben
- Vereine & Ehrenamt
- WIRTSCHAFT
- ONLINE-SERVICE
Bebauungsplan Nr. 3 A „Unterhalb der Fuchshohl“ der Stadt Bad Soden am Taunus, Stadtteil Neuenhain (zugleich Teiländerung des Bebauungsplans Nr. 3 „Unterhalb der Fuchshohl“)
Bebauungsplanentwurf, frühzeitige Unterrichtung und Durchführung der Öffentlichkeitsbeteiligung nach § 3 Abs. 2 Baugesetzbuch (BauGB)
Die Stadtverordnetenversammlung der Stadt Bad Soden am Taunus hat in ihrer Sitzung am 10.12.2025 für den Bebauungsplan Nr. 3 A „Unterhalb der Fuchshohl“, Stadtteil Neuenhain (zugleich Teiländerung des Bebauungsplans Nr. 3 „Unterhalb der Fuchshohl“),
- die Änderung des Geltungsbereichs,
- den Bebauungsplanentwurf mit textlichen Festsetzungen und Begründung,
- die Durchführung der Öffentlichkeits- und Behördenbeteiligung nach § 3 Abs. 2 sowie § 4 Abs. 2 BauGB
beschlossen.
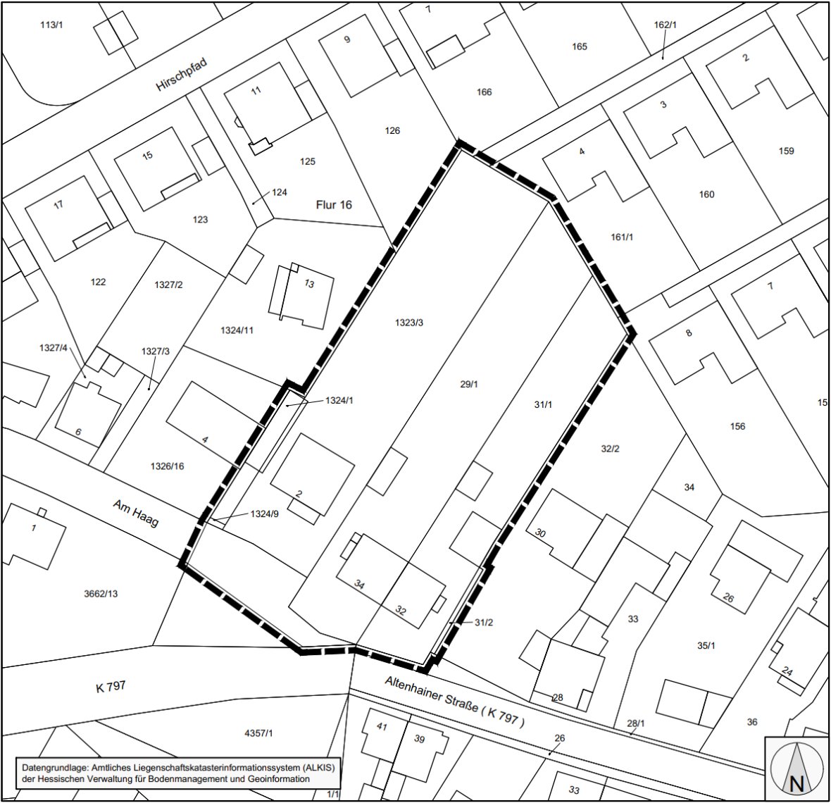
Neuer Geltungsbereich (ohne Maßstab)

Der räumliche Geltungsbereich des Bebauungsplans Nr. 3 A „Unterhalb der Fuchshohl“ besitzt eine Größe von 3.739 m² (0,37 ha) und liegt im Stadtteil Neuenhain der Stadt Bad Soden am Taunus. Er umfasst die Flurstücke 29/1, 31/1 und 31/2 in der Flur 15, die Flurstücke 1323/3, 1324/1 und 1324/9 in der Flur 16 sowie das Flurstück 4357/6 (teilweise) in der Flur 37 der Gemarkung Neuenhain.
Der bestehende Bebauungsplan Nr. 3 „Unterhalb der Fuchshohl“ erlangte seine Rechtskraft 1987 mit Ausnahme einiger Flurstücke in zweiter Reihe. Schon damals hat er in diesem Bereich Bebauungsmöglichkeiten vorgesehen, welche allerdings vom Regierungspräsidium Darmstadt nicht genehmigt wurden. Mehr als 35 Jahre später haben sich die allgemeinen Anforderungen an nachhaltige Stadtplanung verändert.
Ziel des neuen Bebauungsplanes Nr. 3 A „Unterhalb der Fuchshohl“ ist es, das Planungsrecht für eine Bebauung in zweiter Reihe zu schaffen, um den wachsenden Bedarf an Wohnraum zu decken. Eine rückwärtige Bebauung an dieser Stelle ist erneut als städtebaulich verträglich einzuschätzen und soll sich an den bestehenden Strukturen orientieren.
Die Aufstellung des Bebauungsplans Nr. 3 A „Unterhalb der Fuchshohl“ erfolgt im beschleunigten Verfahren nach § 13a BauGB – Bebauungspläne der Innenentwicklung. Die Anwendungsvoraussetzungen für das beschleunigte Verfahren nach § 13a BauGB liegen vor, da der Bebauungsplan der Innenentwicklung dient und die maximal zulässige Grundfläche innerhalb des Plangebietes aufgrund der Größe des Geltungsbereiches von 3.509 m² weniger als 20.000 m² beträgt.
Im beschleunigten Verfahren wird von der Umweltprüfung nach § 2 Abs. 4 BauGB, von dem Umweltbericht nach § 2a BauGB, von der Angabe nach § 3 Abs. 2 Satz 1 BauGB, welche Arten umweltbezogener Informationen verfügbar sind, sowie von der zusammenfassenden Erklärung nach § 10a Absatz 1 BauGB abgesehen. § 4c BauGB ist nicht anzuwenden.
Frühzeitige Unterrichtung und Öffentlichkeitsbeteiligung:
Nach § 13a Abs. 3 Nr. 2 BauGB kann sich die Öffentlichkeit über die allgemeinen Ziele und Zwecke sowie die wesentlichen Auswirkungen der Planung in der Zeit
vom 29.01.2026 bis einschließlich 05.02.2026
unterrichten und zur Planung äußern.
Im Anschluss an die frühzeitige Unterrichtung wird nach § 13a BauGB in Verbindung mit § 3 Abs. 2 BauGB die Beteiligung der Öffentlichkeit in der Zeit
vom 06.02.2026 bis einschließlich 09.03.2026
durchgeführt.
Für beide Beteiligungszeiträume wird der Entwurf des Bebauungsplans Nr. 3 A „Unterhalb der Fuchshohl“ mit Begründung wie folgt veröffentlicht:
- Auf der Internetseite der Stadt Bad Soden am Taunus www.bad-soden.de unter „Stadt“ à „Stadtplanung&Verkehr“ à „Stadtplanung“ à „Bebauungspläne“ à „Bebauungspläne im Verfahren (https://www.bad-soden.de/stadt/stadtplanung-verkehr/stadtplanung/bebauungsplaene/bebauungsplaene-im-verfahren/)
- Auf der Internetseite der Planergruppe ROB www.planergruppe-rob.de unter „Beteiligungsverfahren“ (http://www.planergruppe-rob.de/beteiligungsverfahren/)
Auf die vorgenannte Internetseite der Stadt Bad Soden am Taunus wird auch im Zentralen Internetportal für Bauleitplanungen in Hessen (https://bauleitplanung.hessen.de) verwiesen.
Zusätzlich zur Veröffentlichung im Internet werden die genannten Unterlagen nach § 13a Abs. 3 Nr. 2 BauGB und § 3 Abs. 2 Satz 2 BauGB in der Abteilung Stadtentwicklung und Mobilität der Stadt Bad Soden am Taunus, Verwaltungsgebäude Neuenhain, Hauptstraße 45, 2. Stock, während der Dienststunden (montags bis donnerstags von 8:30 Uhr bis 12:00 Uhr und 14:00 Uhr bis 16:00 Uhr und freitags von 8:30 Uhr bis 12:00 Uhr) zu jedermanns Einsichtnahme öffentlich ausgelegt. Zur Erörterung des Bebauungsplans stehen die Mitarbeiterinnen und Mitarbeiter der Abteilung 61„Stadtentwicklung und Mobilität“ unter der Rufnummer 06196 208-331 und per E-Mail unter Abt.61@stadt-bad-soden.de zur Verfügung.
Es wird darauf hingewiesen, dass Stellungnahmen während der Dauer der Veröffentlichungsfrist abgegeben werden können. Stellungnahmen sollen elektronisch an teschner@planergruppe-rob.de übermittelt werden. Bei Bedarf können Stellungnahmen aber auch auf anderem Weg abgegeben werden.
Über die abgegebenen Stellungnahmen entscheidet die Stadtverordnetenversammlung der Stadt Bad Soden am Taunus in öffentlicher Sitzung. Da das Ergebnis der Behandlung der Stellungnahmen mitgeteilt wird, ist die Angabe der Emailadresse oder/und der Anschrift des Verfassers zweckmäßig.
Es wird darauf hingewiesen, dass nicht fristgerecht abgegebene Stellungnahmen bei der Beschlussfassung über den Bebauungsplan unberücksichtigt bleiben können.
Datenschutzhinweise in Bezug auf die Abgabe von Stellungnahmen:
Es wird darauf hingewiesen, dass Personen, welche eine Stellungnahme einreichen, mit der Abgabe der Stellungnahme der Verarbeitung aller von ihnen angegebenen personenbezogenen Daten - dazu zählen insbesondere Vor- und Nachname, Anschrift, Telefonnummer, Mobilfunknummer, E-Mail-Adresse - zustimmen. Nach Artikel 6 Abs. 1c und 1e der Datenschutz-Grundverordnung (DSGVO) werden die Daten im Rahmen des Bauleitplanverfahrens von der Stadt und dem von ihr mit der Auswertung der Stellungnahmen beauftragten Büro Planergruppe ROB GmbH, Am Kronberger Hang 3, 65824 Schwalbach am Taunus für die gesetzlich bestimmten Dokumentationspflichten und für die Informationspflicht gegenüber den betroffenen Personen genutzt. Die personenbezogenen Daten werden gelöscht, sobald sie für das Verfahren nicht mehr benötigt werden und keine gesetzlichen Aufbewahrungsfristen bestehen. Nach Art. 15, 16, 17 und 18 DSGVO stehen der betreffenden Person folgende Rechte zu: Auskunftsrecht, Recht auf Berichtigung, Vervollständigung, Löschung, Einschränkung der Verarbeitung, datenschutzrechtliche Beschwerde bei der zuständigen Datenschutzaufsichtsbehörde einlegen: Zuständig ist der Hessische Beauftragte für Datenschutz und Informationsfreiheit, Gustav-Stresemann-Ring 1, Postfach 3163, 65021 Wiesbaden, Tel. 0611/1408-0, Mail: poststelle@datenschutz.hessen.de.
Bad Soden am Taunus, den 26.01.2026
Der Magistrat der Stadt Bad Soden am Taunus
Dr. Frank Blasch
Bürgermeister
Bereitgestellt am 28.01.2026